Property Detail

Dimmick

Los Angeles CA 90065

$169,000

Status: Active

Property Details

Description

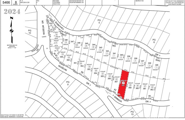
Build your dream home in the sought after community of Mount Washington. This 5,938 S.F Lot offers an exceptional opportunity, own a piece of land on the historic side of the mountain, with lush canyon, city, and mountain views that capture the natural beauty of Northeast Los Angeles. Located on Dimmick Dr. with paved road access and utilities in the street, this parcel is ideally positioned near the Southwest Museum Metro Station, Highland Park, and the many shops, dining, and cultural attractions that make this area one of Los Angeles’ most vibrant neighborhoods. The property is also located within the boundary of the highly regarded Mount Washington Elementary area. Whether you are looking to build a custom residence, a hillside retreat, or a long-term investment in a prime infill location, this lot offers outstanding potential. Enjoy breathtaking sunsets, hillside serenity, and the convenience of city living all in one remarkable setting. Property Details: APN#: 5466-008-024 Lot Size: Approx. 5,938 SF / 0.14 Acre Dimensions: Approx. 152’ x 42’ x 142’ x 40’ Zoning: LAR1 Access: Paved Road – Dimmick Dr. Utilities: In the street Terrain: Upslope, local vegetations on the land. GPS: 34.105727, -118.211336 (S.W) Buyer to make their own independent investigations regarding zoning, permitted uses, access, utility availability, building requirements, and development potential.

Map Location

Listing provided courtesy of Amir Maloumi of First Team Real Estate. Last updated 2026-04-25 08:21:16.000000. Listing information © 2025 CRMLS.

Destiny Six Financial
admin Real estate 9:00 AM - 5:00 PM 9:00 AM - 5:00 PM 9:00 AM - 5:00 PM 9:00 AM - 5:00 PM 9:00 AM - 6:00 PM 9:00 AM - 5:00 PM 9:00 AM - 5:00 PM https://static.royacdn.com/Site-69367b46-38a9-47a3-ab4d-b67fef77f61f/teamAssets/derrick_.png realtor # # # https://static.royacdn.com/Site-69367b46-38a9-47a3-ab4d-b67fef77f61f/teamAssets/derrick_.png