
0 bedrooms
0 bedrooms
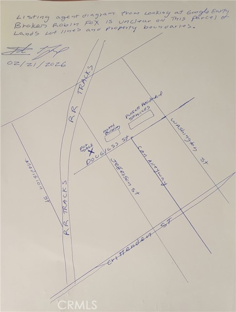
Image 3 is listing agents rough diagram from looking at Google Earth and may in fact be incorrect. Seller & listing agent are unclear on any of this parcels lot lines / boundaries and or the amount of usable land.
Listing provided courtesy of Robin Fox of eXp Realty of California, Inc.. Last updated 2026-02-23 09:20:53.000000. Listing information © 2025 CRMLS.

San Diego Office:
6904 Federal Blvd.
Lemon Grove, CA 91945
(619) 825-9560
Temecula/Murrieta Office:
29910 Murrieta Hot Springs Rd. Ste E
Murrieta, CA 92563
(951) 677-0083
Destiny Six Financial is a family-owned and operated, real estate and mortgage company. We have been serving Southern California for over 20+ years. At Destiny Six Financial, we strive to treat every client with the respect and personal service that you deserve. We understand the big commitment you are making in buying or selling a home, refinancing a mortgage, or cashing out your home equity, and we are here to make that journey an easy process for you.
Call us today at one of our convenient locations:


San Diego: 6904 Federal blvd. Lemon Grove ca. 91945
Temecula: 29910 Murrieta Hot Springs Rd. Ste E. Murrieta ca 92563
CA DRE# 1271639
Corporate DRE #02215045
NMLS Individual #326258
NMLS Corporate #2524339
© 2025 Destiny Six Financial - All rights Reserved. Privacy Policy | Sitemap

We've copied your review, after you click 'Publish' please paste your review by selecting 'ctrl' + 'v' into the review comments section.
One fine body…